Víg utca 22.
Információk
CímVíg utca 22.
Albetétszám34929/1/A/9; 34929/1/A/14
Alapterület (m2)661
Ár110 000 000 Ft
VárosrészCsarnok negyed
ElhelyezkedésEmelet, földszint (udvari)

Budapest Főváros VIII. kerület Józsefvárosi Önkormányzata pályázat útján értékesíti (részletek lentebb) a 1084 Budapest, Víg utca 22. szám alatt található teremgarázs épületét.

Főbb jellemzők:

Lokáció:

A teremgarázs a Csarnok negyed városrészben, közvetlenül a Rákóczi téri Vásárcsarnok mögött található.

Kiváló a közlekedési kapcsolata: néhány percre található az M4-es metró (Rákóczi tér megálló), valamint a 4-es és 6-os villamos, továbbá több trolibusz- és buszjárat is elérhető a közelben.

A környék belvárosi infrastruktúrával és szolgáltatásokkal jól ellátott.

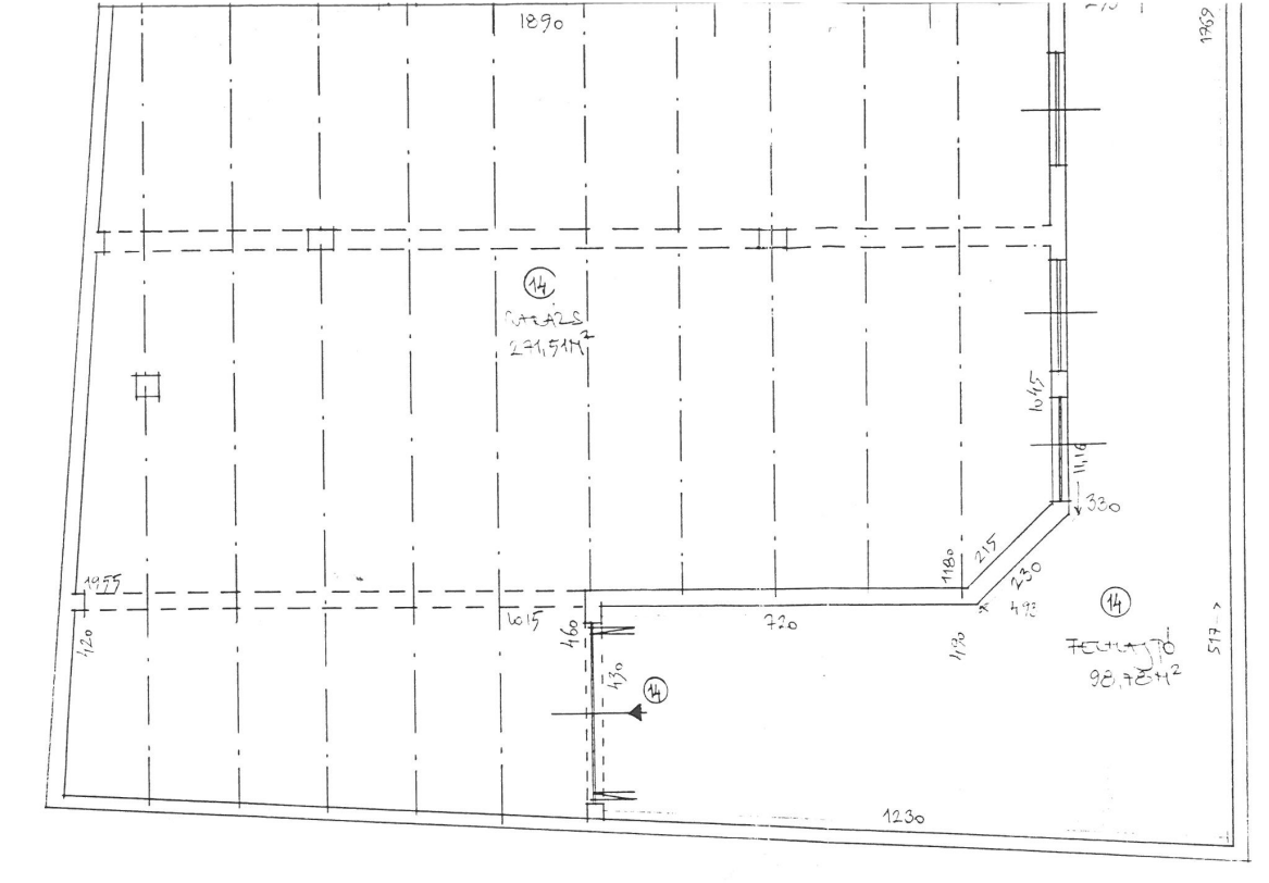
Szerkezeti kialakítás: 2 önálló, kétszintes épületrészből álló teremgarázs

Méret: 661 m²

  • Földszint (Víg u. 22. fsz. 9. – 34929/1/A/9): 291 m²
  • I. emelet (Víg u. 22. I. em. – 34929/1/A/14): 370 m²

Állapot és közművek:

Az épület leromlott állapotú, teljes körű felújítást, korszerűsítést és átalakítást igényel.

Elektromos áram: telken belül kiépített, de hitelesített villanyóra nélkül

Vízvezeték: telken belül kiépített, hitelesített vízóra nélkül

Közcsatorna: telken belül kiépített

Minimális vételár: 110.000.000 Ft

Az ajánlati biztosíték összege: 16.500.000 Ft

Megtekintés: 2025. november 14. – 2026. január 28. között, előzetes egyeztetés alapján a 06-1-216-6961/106-os melléken

Az ajánlati biztosíték beérkezésének határideje: 2026. január 28. szerda (24:00)

Pályázat leadási határideje: 2026. január 29. csütörtök (10:00)

A pályázatok bontásának időpontja: 2026. január 29. csütörtök (10:10)

További információ:

Személyesen: 1084 Budapest, Őr utca 8. 1./39., Ingatlanértékesítési Iroda

Telefon: 06-1-216-6961

E-mail: ertekesites@jgk.hu

A részletes pályázati felhívás és a dokumentáció elérhető a Józsefvárosi Önkormányzat és a Józsefvárosi Gazdálkodási Központ Zrt. honlapján.