Diószegi Sámuel utca 9/B.
Információk

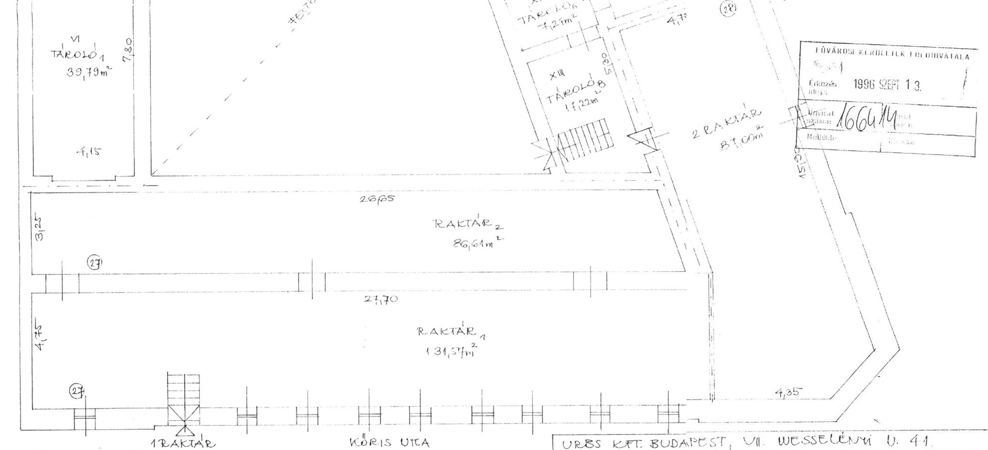
Budapest Főváros VIII. kerület Józsefvárosi Önkormányzata eladásra kínálja a Budapest, VIII. ker. Diószegi Sámuel utca 9/B. pinceszint 27. szám alatt található raktárhelyiséget.
Főbb jellemzők:
•Lokáció: – a Kálvári tér közvetlen közelében helyezkedik el
a teljesség igénye nélkül sétatávolságon belül megtalálható számos villamos, troli és
buszjárat, így tömegközlekedéssel is rendkívül könnyedén megközelíthető
•Méret: – az ingatlan 218 m², pinceszint
•Hasznosíthatóság: raktár
•Állapot: felújítandó állapotú
•Közművek: nincsenek
•Megközelítés: utcafronti

Kikiáltási ár: 21.110.000 – Ft

Megtekintés: 2026. április 30. (csütörtök) 10:20-10:40, valamint 2026. május 5. (kedd)10:20-10:40
Elektronikus árverés időpontja: 2026 május 20. 12 óra
További információ:
Iroda címe: 1084 Budapest, Őr utca 8. 1./39., Ingatlanértékesítési Iroda
Az aukció zárt körben zajlik, a részletes pályázati felhívás és a dokumentáció elérhető a Józsefvárosi Önkormányzat és a Józsefvárosi Gazdálkodási Központ Zrt. honlapján.